©  1982  VATCO
PROPERTIES INC.
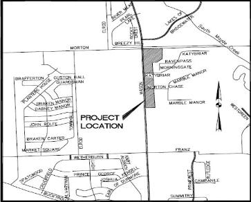
See Map
Katy Briar Shopping Center was developed in the fourth quarter of 2007 in a fast growing market area
in Katy, Texas. The Shopping Center has an elegant design and modern looking features. Building "A"
is 20,455 sq. ft. and building "B" is 2,925 sq. ft. pad structure. Building "A" has gas line connection and
building "B" has "Sleeve and  Leave out" that could easily be connected to Gas Company line and ready
for restaurants and other related businesses. Located on North Mason and Morton Roads, about 1.5
Miles North of I -10. Currently the Shopping Center has Nail Salon, Montessori School, and a Liquor
Store as tenants. New residential subdivisions are constantly being built and the population growth is
estimated to be about 7% per year.
Katy Briar Shopping Center
The information contained herein has been obtained from sources which are deemed reliable, however Vatco Properties, Inc. makes no warranty or representation as to
the accuracy of any of this information. The buyer is encouraged to perform any due diligence  deemed appropriate.The presentation of this property is submitted to
subject to errors, omissions, change of price, prior sale or lease or withdrawal without notice.
Katy Briar Shopping Center Main Building
Center-Pad 3K sq. ft.
Main Building - Side View
Next to the Katy Briar Shopping Center, the developer has an additional tracts of land well suited for
other developments such as Banks, Fast Food pad sites, Pharmacy and Grocery Store. Please see
site map bellow.